Please note: this is an archived news article release
This article was published on Tuesday, 21 February, 2023. The information contained within may be out of date or inaccurate. News articles and media releases older than 60 days are archived for future reference.
Posted on Tuesday 21st of February, 2023,
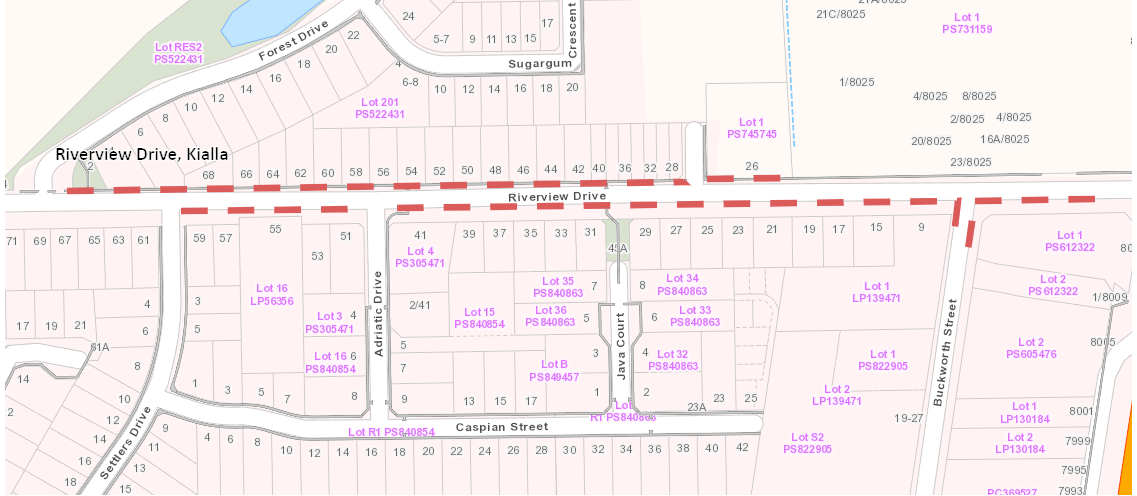
Greater Shepparton City Council advise that construction of new kerb and channel along Riverview Drive Kialla, commenced on Monday 20 February 2023, with completion expected by late April 2023.
The upgrades are taking place along the northern and southern sides of Riverview Drive to improve the draining network in the street, and include the installation of new pipework, drainage pits, kerb and channel.
Traffic management is in place while these improvements are undertaken and Council reminds road users to obey all traffic management signs and direction during this time.
Council would also like to thank residents and commuters for their cooperation and support during the upgrades.
More News from Greater Shepparton
Wednesday 18th of March,
Strong community support for the 32nd Annual Tatura 100 Lap Challenge
The 32nd Annual 100 Lap Challenge was held on Saturday 28 February 2026 at the Tatura Swimming Pool, bringing the community together to raise funds for Tatura Hospital and Parkvilla Aged Care Facility. Read more
Monday 16th of March,
Converge on the Goulburn is almost here with a vibrant 2026 program
Council has officially launched the program for Converge on the Goulburn 2026, inviting the community to discover what is on offer when the much-loved festival returns on Saturday 21 March from 2pm to 9pm at Victoria Park Lake in Shepparton. Read more
Monday 16th of March,
Expressions of Interest open for first GV Home Energy Expo
Council is inviting local businesses, community groups and organisations to submit Expressions of Interest to be part of the first GV Home Energy Expo. Read more
Friday 13th of March,
Marungi Street Drainage Project Update
We are pleased to advise that work to upgrade the stormwater drainage network from the Marungi / Nixon Street intersection through to Knight Street Shepparton is progressing well. Read more
Thursday 12th of March,
Upcoming Community Satisfaction Survey in Greater Shepparton
Council is encouraging residents to share their thoughts on Council and its services through the third quarter Local Government Community Satisfaction Survey. Read more
Tuesday 10th of March,
Road patching works across Shepparton and Mooroopna
Council wishes to advise that road patching works are programmed for several streets and roads throughout Shepparton and Mooroopna on Saturday 14 March 2026. Read more
See All News
Want to get the latest news and events in your Facebook feed?
Just go to our Facebook page and click the Like button.
More Events in Greater Shepparton
Saturday 21st of March,
Shepparton Arts Festival Raffia Weaving Workshop @ Kaiela Arts
Weaving is a knowledge passed down through generations, strengthening identity, kinship and ties to Country. Read more
Saturday 21st of March,
Kids Clay Workshop
A fun, hands-on clay workshop for kids with local Yorta Yorta artists. Read more
Friday 20th of March, – to Saturday 28th of March,
STAG presents 'COSI' by Louis Nowra
COSI is one of the most-loved Australian plays. Its madcap yet poignant storyline asks us all to think about our own humanity and to question our reactions to those who are "different". Our Blackbox theatre… Read more
Saturday 21st of March,
Stand Up Paddle Boarding at Converge
Activities in the Park will be at Converge with stand up paddle boarding and lots of games. Read more
Friday 20th of March, – to Sunday 29th of March,
Ours for the making
Ours for the Making is an evolving installation by Victoria Cooper, Doug Spowart, Tegan Nash Ollett and Bree Marchbank, activated through performance and community participation. Read more
Friday 20th of March, – to Saturday 21st of March,
Eastern Goulburn Valley Group CWA Creative Arts Exhibition
Exquisite handcrafts, cooking, floral art and plants are on display - a chance to admire the work of our very talented members of 6 local branches of CWA. Enjoy Devonshire Tea or light refreshments with… Read more
See All Events